Ne aliniem la GDPR!

Vă aducem la cunoștință că www.rapitorimania.ro utilizează fișiere de tip cookie și alte tehnici similare pentru a asigura funcționarea site-ului și protejarea datelor dvs., pentru a vă oferi o experiență cat mai placută și personalizată, pentru a oferi funcții de rețele sociale și pentru a analiza traficul într-un mod anonim.

Le oferim partenerilor noștri de rețele sociale, de publicitate și de analiză a traficului informații cu privire la modul in care folosiți site-ul nostru prin intermediul cookie-urilor pe care ei le pot seta.

Înainte de a continua navigarea pe www.rapitorimania.ro, vă rugăm să citiți și să întelegeți conținutul Politicii de utilizare cookie și al Politicii de confidențialitate.

Prin continuarea navigării și utilizarea serviciilor noastre, vă exprimați acordul cu privire la Politica de utilizare cookie și la Politica de confidențialitate.

Ultima modificare: 29.05.2018
pop-up fumigena senzor

Termoclina pe sonar

sâmbătă, 4 ianuarie 2014   |   6922   afişări   

 
Pe urmele pestilor
 
Factorul hotărâtor în pescuitul sportiv, îl reprezintă localizarea peştelui-ţintă. Cu alte cuvinte, să pescuim acolo unde se află peştii. Această afirmaţie este cu atât mai veridică atunci când vine vorba de peştii răpitori, care nu pot fi momiţi, atraşi cu nadă şi ţinuţi prin intermediul nadei pe un pat sau pe un vad. Peştii răpitori îi căutăm efectiv.
Când pescuim pe întinderi mari de apă, având adâncimi şi o structură complexă a malurilor, această căutare nu este un lucru tocmai uşor. Deopotrivă important este să determinăm zonele de hrănire, unde peştii sunt cei mai activi.
Aceştia pot fi adesea cantonaţi pe structuri sau în tranzit, de la un loc la altul, stări în care îi găsim foarte puţin receptivi la nălucile noastre sau aproape imposibil de prins.
Factorii care favorizează declanşarea unui comportament de hrănire sunt constituiţi de cantitatea suficientă de oxigen dizolvat din apă, temperatura optimă – ştiut fiind că peştii sunt vieţuitoare cu sânge rece –, lumină suficientă, dar nu prea puternică şi, nu în ultimul rând, prezenţa hranei, a peştilor paşnici. Putem regăsi toţi aceşti factori în termoclină şi adesea acolo îşi vor face apariţia atât peştii paşnici, cât şi răpitorii.
 
 
 
Coloana de apă şi stratificarea
 
Ca urmare a diferenţelor de temperatură datorate de schimbarea anotimpurilor, a succesiunii zi–noapte, a influenţei razelor solare, a vântului sau a altor factori de mediu, temperatura apelor va avea mereu o dinamică mai accentuată sau mai atenuată. Într-o coloană de apă, factorii sus-menţionaţi încălzesc diferit masa apei şi îi dau acesteia densităţi diferite, apa mai caldă fiind mai puţin densă, iar apa rece prezentând o densitate mai mare. Acest fapt va cauza o stratificare a apei pe verticală, apa mai caldă şi mai puţin densă ocupând straturile superioare, iar apa rece, straturile inferioare.
Fenomenul de stratificare se manifestă preponderent în apele stătătoare. Apele curgătoare, datorită debitului şi afluenţilor, asigură un permanent amestec al masei de apă care favorizează egalizarea temperaturii şi împiedică stratificarea pe verticală.
Stratificarea coloanei de apă este influenţată şi de alţi factori, cum ar fi morfologia bazinului – dimensiune, formă, adâncimi, altitudinea la care se situează, dimensiunea bazinului hidrografic –, succesiunea şi ponderea anotimpurilor sau chiar coordonatele geografice ale zonei. Cu alte cuvinte, o reţetă relativ corectă – o previziune a formării straturilor – se poate emite cu o oarecare precizie numai pe un lac în particular, urmărind de la an la an temperaturile, apariţia şi dinamica stratificării. În rest, singura lege care se aplică este cea a fizicii.
 
 
 
Straturile orizontale
 
Când vorbim despre stratificarea coloanei de apă pe verticală, vom avea mereu două straturi orizontale principale. Cel de la suprafaţă, format din apa aflată la temperaturi mai ridicate, şi cel din profunzime, unde apa are temperaturi mai scăzute.
Stratul de la suprafaţă se numeşte epilimnion, de la epi (pe) şi limne (lac) în limba greacă, iar stratul inferior, hipolimnion, aşa cum îi spune şi numele, hipo (sub). Limnologia este evidenţiată chiar ca o ramură a hidrologiei, care se ocupă cu studiul fenomenelor ce au loc în apele interioare stătătoare. Epilimnionul este stratul cu dinamica cea mai mare.
Acesta este direct influenţat de vânt, razele solare, temperaturile din timpul zilei sau al nopţii, de succesiunea anotimpurilor. Epilimnionul este stratul cu temperatura mai ridicată şi mai bogat în oxigen. Este un strat în care are loc amestecul permanent al apei de diferite temperaturi. Hipolimnionul prezintă o dinamică mult mai redusă. Este un strat cu o temperatură scăzută, în care cantitatea de oxigen este redusă, e puţin luminat şi sărac în resurse de hrană, fitoplancton.
Hipolimnionul are o temperatură mai ridicată decât epilimnionul doar atunci când apa se apropie de punctul de îngheţ, în sezonul rece. Deşi fluidele tind să îşi mărească densitatea pe măsură ce temperatura lor scade, apa prezintă o excepţie. Densitatea maximă a apei este de 999,97 kg/m³ şi este atinsă la o temperatură de 4ºC.
Este o chestiune de legături moleculare ale hidrogenului. La 0ºC apa are o densitate de 999,84 kg/m³. Densitatea apei scade pe măsură ce temperatura acesteia scade sau creşte faţă de cea de 4ºC. Astfel, stratul inferior, din orice masă de apă, va avea minim 4ºC. Iarna acest strat va fi cel mai dens, dar aici va fi concentraţia cea mai mare de oxigen, precum vor fi favorizaţi şi factorii cei mai propice conservării vieţii acvatice. În restul situaţiilor, hipolimnionul prezintă temperaturi inferioare epilimnionului şi saturaţii de oxigen mai mici. Ca urmare a dinamicii diferite a celor două straturi, precum şi a diferenţelor de temperatură dintre ele, între acestea apare adesea un strat intermediar, numit metalimnion – meta (în mijloc) – sau termoclin, termoclină. Prin termoclină se realizează transferul redus între epilimnion şi metalimnion.
Acesta este motivul pentru care, în termoclină, au loc diferenţe foarte accentuate de temperatură şi de densitate ale apei, cu toate că dimensiunea acestui strat este mult mai redusă în coloana de apă, în comparaţie cu cea a epilimnionului sau a hipolimnionului.
 
 
 
Termoclina
 
Termoclina reprezintă aşadar un strat subţire, intermediar, în coloana de apă, în care se manifestă o scădere bruscă, în progresie, a temperaturii apei. Termoclina poate să apară primăvara, odată cu încălzirea treptată a apei, şi se manifestă până aproape de îngheţ. Este totuşi un fenomen care nu este permanent. Se formează sau nu în funcţie de temperatura apei şi de dinamica acesteia, de gradul şi de viteza de amestecare a maselor de apă.
Nivelul la care termoclina se formează nu este, de asemenea, unul constant. În acelaşi lac, termoclina poate apărea la o adâncime de 2 metri sau de 7 metri, fiind influenţată de dimensiunea şi presiunea exercitată de epilimnion. În acelaşi context, dacă termoclina se formează la o adâncime de 5 metri, ca să dau un exemplu, apa mai puţin adâncă de 5 metri va avea numai caracteristicile epilimnionului.
 
 
 
Relaţia peşte–termoclină
 
Peştii sunt influenţaţi de termoclină sau, mai corect, caută termoclina în funcţie de impactul pe care aceasta îl poate avea asupra lor. În funcţie de specie, dinamism, vârstă sau dimensiune, peştii pot fi mai sensibili sau mai indiferenţi la termoclină. Specii ca somnul, de exemplu, sunt cunoscute a fi găsite adesea chiar în hipolimnion.
Termoclina este însă cel mai adesea recunoscută ca zona cea mai activă de hrănire şi în primul rând datorită condiţiilor optime de oxigen şi temperatură, favorizate de întâlnirea celor două straturi de apă. Este important însă să vedem care sunt argumentele în favoarea termoclinei, pentru că, aparent, epilimnionul poate prezenta aceleaşi condiţii de temperatură şi oxigen. Primul lucru care trebuie amintit este acela că, având sânge rece şi fiind nevoiţi să se folosească de temperatura apei pentru a obţine un confort termic suficient, peştii vor prefera o zonă cât mai restrânsă, în care diferenţa de temperatură este cât mai mare. Nici temperaturile prea ridicate nu au un efect benefic, în primul rând din cauza creşterii excesive a temperaturii corpului şi în al doilea rând ca urmare a densităţii prea mici a apei şi a lipsei oxigenului.
Sub termoclină temperatura este mult prea scăzută, iar lipsa oxigenului este şi mai accentuată. Termoclina asigură exact acel prag brusc de temperatură care permite peştelui să rămână mereu în zona de confort termic, oferindu-i şi o concentraţie optimă de oxigen. Un al doilea motiv, dar la fel de suficient, îl reprezintă diferenţa accentuată de densitate a apei care se regăseşte în termoclină. O apă care devine brusc mai densă oferă o filtrare mai bună a radiaţiilor luminoase. Lumina devine mai puţin supărătoare pentru peşti, care nu au pleoape, şi mai ales pentru peştii răpitori, care au şi o vedere nocturnă bine dezvoltată. Spectrul luminos este la fel de complex, dar mai accentuat în termoclină, deci vizibilitatea poate fi mai bună chiar pe fondul unei scăderi în intensitate a luminii.
 
 
 
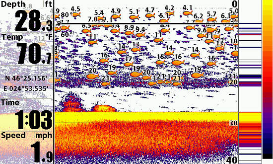
Termoclina pe sonar
 
Identificarea termoclinei şi apariţia sau formarea acesteia se poate determina numai cu ajutorul unei aparaturi electronice corespunzătoare. Teoretic, folosirea unui sistem de măsurare gradată, spre adâncime, a temperaturii apei, poate da o determinare a termoclinei şi a nivelului acesteia, dar astfel de mijloace sunt indisponibile sau deosebit de costisitoare ori greu de utilizat pentru un pescar. Sonarul oferă posibilitatea determinării termoclinei. Cu cât acesta este mai performant, cu atât informaţiile recepţionate sunt mai preţioase, mai exacte, dar, în principiu, chiar şi modelele mai vechi sau mai puţin sofisticate pot determina acest strat intermediar al apei.
Diferenţa mare de densitate a apei, în termoclină, creează o reflexie a sonarului care este reprezentată pe ecran sub forma unei benzi continue, mai dense, aglomerate, sau de diferite culori, situate la o anumită dâncime. Aceasta se întâmplă în cazul interpretării unei imagini bidimensionale.
La sonarele care au funcţia down-imaging ori side-imaging, de exemplu, termoclina poate prezenta o variaţie a densităţii apei atât de mare încât să fie reprezentată chiar ca o aglomerare de particule, ca o pătură de o consistenţă aparte.
Pe lângă importanţa determinării cu exactitate a termoclinei, sonarul poate oferi avantaje în plus legate de acest aspect. Identificarea termoclinei, redată cu un contur precis – semn că metalimnionul este foarte bine definit şi stabil, la întâlnirea cu o structură submersă –, poate reprezenta un excelent loc pentru pescuit. Prezenţa peştilor aici este iminentă.
De asemenea, o aplicaţie foarte bună o are determinarea termoclinei în pescuitul răpitorilor, la trenă. Indiferent de specie sau de faptul că folosiţi pentru trenă năluci soft, hard sau metalice, într-o masă mare de apă determinarea nivelului termoclinei este un element crucial al reuşitei unui astfel de stil, prin ajustarea vitezei sau folosirea unei năluci care să evolueze în partea superioară a acestui strat. În pescuitul peştilor paşnici, determinarea termoclinei şi a profunzimii la care aceasta se manifestă este la fel de importantă, în termeni de nădire şi adâncimea la care trebuie pescuit. Adesea, peştii vor ocupa toată masa de apă în care se manifestă termoclina sau vor fi adunaţi în porţiunea ei superioară.
 
 
 
Studiu de caz
 
Când suntem pe apă, trebuie mereu, înainte să începem efectiv să pescuim, să ne amintim cele câteva zeci sau sute de porunci nescrise ale pescuitului, legate de apă, adâncime, peşti, temperatură şi toate celelalte. Ele se bazează pe experienţe anterioare sau informaţii corecte. Deşi este o abordare foarte tehnică şi foarte abstractă, urmărirea termoclinei dă rezultate recunoscute în multe stiluri de pescuit şi în abordarea multor specii de peşte. Studiul termoclinei reprezintă una dintre aplicaţiile practice bazate cel mai mult pe ştiinţă şi tehnologie, când vine vorba despre folosirea şi interpretarea ei în, pentru unii, „banalul pescuit”.
 
Cristi Serb
Articol aparut in Revista Pescuitul Pentru Toti
 
Dezbate subiectul pe forum.

Cat de mult conteaza citirea termoclinei pe sonar? Folositi aceste date in pescuit?



La 2 persoane le place asta.


Comentarii


Momentan nu există comentarii.


cristialbu.ro